Florida Hurricanes: Satellite Tracking & Safety Guide

K.Notikumi 27 views
Florida Hurricanes: Satellite Tracking & Safety Guide

Florida Hurricanes: Satellite Tracking & Safety Guide

Hey guys! Florida hurricanes are no joke. They’re powerful, unpredictable, and can cause some serious damage. But guess what? We have some amazing technology that helps us track these storms and stay safe. One of the coolest tools we have is satellite imagery . It allows us to watch Florida hurricanes from space, giving us a comprehensive view of their size, intensity, and movement. In this article, we’ll dive into how you can use satellite imagery to monitor hurricanes, understand what to look for, and, most importantly, how to stay safe during hurricane season. Let’s get started, shall we?

Understanding Hurricane Season in Florida

First off, let’s talk about the elephant in the room: hurricane season! It officially runs from June 1st to November 30th, with the peak months typically being August and September. During this time, the waters of the Atlantic Ocean and the Gulf of Mexico are warm, providing the perfect fuel for hurricanes to form. Florida, with its extensive coastline, is particularly vulnerable to these storms, which means understanding hurricane season is incredibly important.

Now, why is knowing about hurricane season so crucial? Well, it’s all about preparation. Being informed helps you to get your home ready, stock up on supplies, and develop an evacuation plan. This early preparation can significantly minimize the potential impact of a hurricane. It’s not just about surviving; it’s about minimizing the impact on your life, property, and loved ones. The more you know, the better you can prepare, and the safer you’ll be. It is key to have a solid understanding of the potential risks and to take proactive steps to mitigate those risks. Knowledge is power, and when it comes to hurricanes, knowledge can save lives and protect property. Keep an eye on local news, and be sure to check the National Hurricane Center (NHC) website regularly. So, stay vigilant, stay informed, and always be prepared during hurricane season.

Satellite Imagery: Your Eyes in the Sky

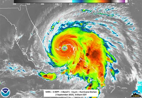
Okay, let’s get into the nitty-gritty of satellite imagery. It’s essentially pictures taken from space, giving us a bird’s-eye view of everything happening on Earth. When it comes to Florida hurricanes, satellite imagery is your secret weapon for early detection and monitoring. This advanced technology uses different types of satellites, each with its own special abilities. Some satellites use visible light, just like your eyes, to show you what the storm looks like. Others use infrared light, which can detect heat, helping us to see the storm’s temperature and intensity. And then there are microwave sensors, which can even see through clouds to measure rainfall and other key data. Pretty cool, huh?

Why is all this data so important? Well, because it helps meteorologists track a hurricane’s path, predict its strength, and understand how it’s evolving. For example, if you see a large, organized swirl of clouds, that’s a sign of a developing hurricane. If you notice a change in the storm’s eye size or the temperature of the clouds, it can indicate the hurricane is getting stronger or weaker. The detail provided by satellite imagery gives forecasters a huge advantage. They use this information to create more accurate forecasts and issue timely warnings, giving you the time you need to prepare and stay safe. Using satellite imagery, we can see developing storms far out in the ocean, giving us time to prepare. Satellites can help see the conditions in the upper atmosphere, helping to assess the storm’s potential for intensification. This detailed analysis allows for more accurate predictions, and ultimately, helps to save lives and protect property.

How to Access Satellite Images of Hurricanes

Alright, so how do you, as an average Joe or Jane, get your hands on these amazing images? Luckily, it’s easier than you might think! There are several websites and resources that provide up-to-date satellite imagery of Florida hurricanes. The National Hurricane Center (NHC) is the go-to source. They have all sorts of maps and data, including satellite images, updated regularly during hurricane season. You can easily access their website and find the latest information on any active storms. Another great resource is the National Oceanic and Atmospheric Administration (NOAA). NOAA’s website is packed with satellite imagery, weather models, and other helpful information. You can often find interactive maps and tools that let you track a hurricane’s path and see how it’s expected to change over time. Many weather apps also use satellite imagery to display storms. These apps usually provide real-time updates and notifications, so you can stay informed no matter where you are. Check out your phone’s app store and search for weather apps that provide satellite imagery.

Additionally, many local news stations provide satellite imagery during their weather reports. This is a great way to stay informed, especially if you want a more personalized view of what’s happening in your area. Satellite images are not just for experts; they’re for everyone! By accessing these resources, you can keep a close eye on any developing storms and make informed decisions to keep yourself and your family safe. So, familiarize yourself with these resources before hurricane season starts. You’ll be glad you did when a storm is brewing in the Gulf or Atlantic. Getting familiar with these resources will help you to know what to look for and how to interpret the images. Remember to always cross-reference the information with official sources like the NHC to ensure accuracy.

What to Look for in Satellite Images

Now, let’s talk about what to look for when you’re viewing satellite images of Florida hurricanes. First, focus on the overall shape and structure of the storm. A well-organized hurricane will have a distinct circular shape with a clear eye. The eye is the calm center of the storm, often surrounded by a band of intense thunderstorms called the eyewall. Changes in the eye size can indicate changes in the storm’s intensity. If the eye is shrinking, the storm may be getting stronger. If it’s expanding, it might be weakening. Also, watch the cloud patterns. Look for the spiral bands of thunderstorms that wrap around the center of the storm. These bands can give you clues about the storm’s size and potential impact. Strong, well-defined bands usually mean a stronger hurricane. The color and texture of the clouds are also important. Darker, more textured clouds indicate heavier rainfall and more intense storms. Watch for any changes in the storm’s path. Is it moving straight, or is it curving? Is it speeding up or slowing down? The NHC provides forecast tracks showing the predicted path of the storm. Keep an eye on these forecasts and compare them to what you’re seeing in the satellite images.

Furthermore, keep an eye on the sea surface temperatures. Warm water is the fuel for hurricanes. Satellite imagery can show you the sea surface temperatures, which can help to understand the potential for the storm to strengthen. All these elements can provide a complete picture of the storm. If the storm has rapid intensification, you will need to take extra precautions. Rapid intensification is a period when a hurricane strengthens very quickly. If you see signs of rapid intensification, be prepared for increased winds, heavy rainfall, and potential flooding. Pay attention to warnings from local authorities. Always heed the advice of emergency management officials, and stay informed through reliable sources. By understanding these visual cues, you’ll be well-equipped to interpret satellite images and make informed decisions during a hurricane.

Using Satellite Data for Safety

Okay, let’s talk about how to use all this info to stay safe. Satellite data is not just for viewing; it’s essential for making smart decisions during a hurricane. First off, keep a close eye on the official warnings and alerts issued by the NHC and local authorities. These warnings are based on the latest satellite data, weather models, and expert analysis. They’ll tell you the expected impacts in your area, such as wind speed, storm surge, and rainfall amounts. If there’s a hurricane watch, it means hurricane conditions are possible within the next 48 hours. A hurricane warning means hurricane conditions are expected within 36 hours. If a hurricane watch is issued, start preparing. Gather supplies, review your evacuation plan, and stay informed. When a hurricane warning is issued, take immediate action. Follow evacuation orders if they’re given. Secure your home by bringing in loose objects from your yard, boarding up windows, and reinforcing doors. It’s also important to have a communications plan. Have a way to receive alerts and stay informed during the storm. This could be a weather radio, your phone, or a battery-powered TV. Make sure you have a way to charge your devices. Have an emergency kit ready. This kit should include water, food, first-aid supplies, medications, and other essential items. Be sure to have cash on hand, as ATMs and credit card machines might not work during a power outage. Remember that your safety is the most important thing! Satellite data gives you the information you need to stay safe during a hurricane, but you must take action to protect yourself and your family. By staying informed, following warnings, and taking proactive steps, you can significantly reduce your risk during hurricane season.

Other Helpful Tips for Hurricane Season

Let’s wrap things up with some extra tips to help you get ready for hurricane season. Create a detailed emergency plan. This should include evacuation routes, contact information for family and friends, and a designated meeting place. Discuss the plan with everyone in your household so everyone knows what to do in case of a hurricane. Build a disaster kit. This kit should contain enough supplies to last you and your family for several days. Include water, non-perishable food, flashlights, batteries, a first-aid kit, and any necessary medications. Secure your home. Trim trees and bushes that are near your house, and clear any debris from your yard. Reinforce your roof, windows, and doors to minimize damage from high winds. Review your insurance policies. Make sure your homeowners or renters insurance covers hurricane damage. Understand your deductibles and what is covered. Stay informed. During a hurricane, it’s essential to stay updated on the storm’s progress. Monitor local news, weather reports, and the NHC website for the latest information. Consider flood insurance. If you live in a flood-prone area, flood insurance is essential. Remember, hurricanes can cause significant flooding, so it’s important to be prepared. If you’re told to evacuate, do it immediately. Don’t wait until the last minute. Waiting can put you at risk and can make evacuation much more difficult. Be prepared for power outages. Have a backup generator, and know how to use it safely. If you don’t have a generator, have flashlights and extra batteries on hand. Stay calm. Hurricanes can be stressful, but it’s important to remain calm. Follow the guidance of local authorities, and take care of yourself and your loved ones. By following these tips, you can significantly increase your safety and preparedness during hurricane season.

Conclusion: Stay Safe and Stay Informed!

So there you have it, folks! Satellite imagery is an amazing tool that can help you understand and track Florida hurricanes. From understanding the basics of hurricane season to learning how to interpret satellite images and take the right safety precautions, we’ve covered a lot. Always keep an eye on official sources like the National Hurricane Center and your local news stations. Stay informed, stay prepared, and remember: safety first! Don’t forget to share this article with your friends and family, and let’s all work together to make this hurricane season a safe one. Stay safe out there! Remember to take it one step at a time, stay positive, and always prioritize your safety and the safety of those around you. With careful planning and the right information, you can get through hurricane season safely. Take care, and we’ll see you next time!