Live NOAA Weather Satellite Maps: Real-Time Tracking

K.Notikumi 44 views
Live NOAA Weather Satellite Maps: Real-Time Tracking

Live NOAA Weather Satellite Maps: Real-Time Tracking

Hey guys! Ever wondered how to keep an eye on the weather in real-time? Well, buckle up because we’re diving into the fascinating world of live NOAA weather satellite maps . These maps are like having a super-powered weather eye in the sky, giving you up-to-the-minute information about what’s happening in our atmosphere. Let’s explore what makes these maps so cool and how you can use them to stay informed and prepared.

Understanding NOAA and Weather Satellites

First off, let’s talk about NOAA. NOAA stands for the National Oceanic and Atmospheric Administration , and these folks are the real MVPs when it comes to all things ocean and atmosphere. They operate a fleet of weather satellites that constantly orbit our planet, gathering data about temperature, cloud cover, precipitation, and a whole lot more. These satellites use various sensors to capture images and data across different spectrums, including visible light, infrared, and water vapor. All this data is then processed and turned into those awesome weather maps we’re so eager to check out.

The primary goal of these satellites is to monitor and predict weather patterns, helping us prepare for severe weather events like hurricanes, tornadoes, and blizzards. The data collected is also crucial for climate research, helping scientists understand long-term changes in our planet’s climate. NOAA’s satellites are categorized into two main types: geostationary and polar-orbiting. Geostationary satellites, like the GOES series, hover over a fixed spot on Earth, providing continuous, real-time imagery. Polar-orbiting satellites, on the other hand, circle the Earth from pole to pole, offering detailed snapshots of the entire planet twice a day. The combination of these two types of satellites ensures comprehensive coverage and continuous monitoring of weather conditions worldwide.

What to Look for on a Live Weather Map

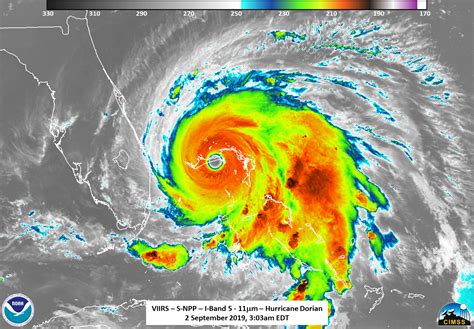
So, you’ve got your live NOAA weather satellite map up on your screen—now what? There’s a ton of information packed into these images, but once you know what to look for, it’s easy to decipher. Cloud cover is one of the most obvious features . You’ll see different shades and patterns indicating the density and type of clouds. White areas generally represent thick clouds, while darker areas might indicate thinner clouds or clear skies. Color enhancements are often used to highlight specific features, such as the height of cloud tops or the intensity of precipitation.

Speaking of precipitation, many maps will show areas of rain, snow, or ice. These areas are usually color-coded, with different colors representing different intensities. For example, light rain might be shown in light blue, while heavy rain could be depicted in dark blue or even red. Temperature data is another key element. You’ll often see isotherms, which are lines connecting points of equal temperature. These lines help you visualize temperature gradients and identify areas of warm or cold air. Wind direction and speed are also commonly displayed, using arrows or barbs to indicate the direction and strength of the wind. By examining these elements together, you can get a comprehensive picture of the current weather conditions and how they are likely to change.

How to Access Live NOAA Satellite Maps

Alright, ready to get your hands on some real-time weather data? Accessing live NOAA satellite maps is easier than you might think! There are several websites and apps that provide access to this information. NOAA’s own website is a great place to start . They offer a range of interactive maps and tools that allow you to zoom in on specific areas and view different types of data. Many third-party weather websites and apps also pull data from NOAA satellites, presenting it in a user-friendly format.

Some popular options include Windy, which offers a highly detailed and customizable weather map, and AccuWeather, which provides a range of weather information, including satellite imagery. When choosing a weather map source, consider factors such as the update frequency, the types of data available, and the ease of use. Some maps update more frequently than others, providing more real-time information. Also, think about what kind of data you’re most interested in. Do you want to see cloud cover, precipitation, temperature, or wind? Finally, make sure the map is easy to navigate and understand. The goal is to get the information you need quickly and efficiently. With a little bit of searching, you’ll find a live NOAA satellite map that suits your needs perfectly.

Real-World Applications of Live Weather Maps

So, why should you care about live NOAA weather satellite maps? Well, they have a ton of real-world applications that can impact your daily life. For starters, they’re incredibly useful for planning outdoor activities . Whether you’re going for a hike, heading to the beach, or just trying to decide what to wear, a quick check of the weather map can help you make informed decisions. If you see a storm brewing in your area, you might want to postpone that picnic or grab an umbrella before heading out.

Live weather maps are also essential for transportation. Pilots use them to plan flight routes and avoid hazardous weather conditions. Mariners rely on them to navigate safely at sea. Even truck drivers use them to anticipate road conditions and plan their routes accordingly. Farmers also benefit greatly from access to real-time weather data . They can use it to make decisions about planting, harvesting, and irrigation. By monitoring weather patterns, they can optimize their operations and minimize the risk of crop damage. Emergency responders also rely on live weather maps to track severe weather events and coordinate relief efforts. During hurricanes, floods, and other disasters, timely and accurate weather information can be the difference between life and death. These are just a few examples of how live NOAA weather satellite maps play a crucial role in our daily lives, helping us stay safe, informed, and prepared.

Tips for Interpreting Satellite Weather Data

Alright, let’s dive into some tips and tricks for interpreting satellite weather data like a pro! First off, pay attention to the color scales . Different colors often represent different intensities of precipitation, temperature ranges, or cloud heights. Make sure you understand what each color means on the specific map you’re using. Most maps will have a legend or key that explains the color coding.

Next, look for patterns and trends . Is there a consistent movement of clouds from west to east? Is a cold front approaching from the north? By observing these patterns, you can get a sense of how the weather is likely to change in the near future. Also, compare different types of satellite imagery . Visible light imagery shows you what the clouds look like during the day, while infrared imagery shows you the temperature of the clouds. Water vapor imagery reveals the amount of moisture in the atmosphere. By comparing these different types of imagery, you can get a more complete picture of the weather conditions. Don’t be afraid to use multiple sources of information. Check the live NOAA satellite map, but also look at weather forecasts, radar data, and local weather reports. The more information you have, the better equipped you’ll be to understand and predict the weather. With a little practice, you’ll be interpreting satellite weather data like a seasoned meteorologist!

The Future of Weather Satellite Technology

What does the future hold for weather satellite technology? Well, it’s looking pretty bright! Advancements in sensor technology are leading to higher resolution imagery and more accurate data . This means we’ll be able to see smaller features and get a more detailed understanding of weather patterns. New types of sensors are also being developed to measure things like wind speed and direction, atmospheric composition, and even lightning activity. These new measurements will help improve weather forecasts and climate models.

Another exciting development is the increasing use of artificial intelligence and machine learning. These technologies can be used to process vast amounts of satellite data and identify patterns that would be difficult for humans to detect. AI can also be used to improve weather forecasts by learning from past data and making more accurate predictions. The future of weather satellite technology is all about more data, better sensors, and smarter algorithms . This will lead to more accurate weather forecasts, improved climate models, and a better understanding of our planet’s atmosphere. So, keep an eye on the skies, because the future of weather forecasting is looking pretty amazing!

Conclusion

So there you have it, guys! A deep dive into the world of live NOAA weather satellite maps. From understanding the basics of NOAA and weather satellites to interpreting the data and exploring real-world applications, we’ve covered a lot of ground. These maps are powerful tools that can help you stay informed, plan your activities, and even protect yourself from severe weather. With the tips and tricks we’ve discussed, you’ll be able to interpret satellite weather data like a pro . And with the exciting advancements on the horizon, the future of weather forecasting is looking brighter than ever. So, next time you’re wondering what the weather is up to, don’t forget to check out a live NOAA satellite map. It’s like having a weather superpower at your fingertips!