NOAA Hurricane Tracking: Atlantic Satellite Insights

K.Notikumi 129 views
NOAA Hurricane Tracking: Atlantic Satellite Insights

NOAA Hurricane Center Atlantic Satellite: A Deep Dive into Tracking Storms

Hey there, weather enthusiasts! Ever wondered how we keep tabs on those massive hurricanes churning in the Atlantic? Well, a big part of the answer lies with the NOAA Hurricane Center and its incredible Atlantic satellite network. These satellites are like the ultimate sky-watchers, constantly monitoring the ocean and atmosphere to give us crucial information about developing storms. In this article, we’ll dive deep into how the NOAA Hurricane Center Atlantic satellite system works, what it tells us, and why it’s so important for protecting lives and property. Get ready to have your mind blown (not by a hurricane, hopefully!) as we explore the technology and data that help us stay safe during hurricane season. Let’s get started!

The Role of the NOAA Hurricane Center

Alright, let’s start with the basics. The National Hurricane Center (NHC) , a branch of the National Oceanic and Atmospheric Administration (NOAA) , is the main U.S. government agency responsible for tracking and predicting tropical cyclones, including hurricanes, in the Atlantic and Eastern Pacific basins. The NHC’s mission is simple but incredibly important: to save lives and minimize property damage by providing accurate and timely forecasts, watches, and warnings. The NHC’s forecast is essential for all Atlantic basin coastal areas. They constantly monitor conditions, collect data from various sources, and use sophisticated computer models to predict a storm’s track, intensity, and potential impacts. This information is then relayed to the public, emergency managers, and other stakeholders, allowing them to prepare for and respond to the approaching storm. The center also collaborates with international partners to share information and coordinate efforts in areas affected by hurricanes. The NHC’s work is critical to ensure that everyone is informed and prepared for the hazards posed by hurricanes, from providing essential weather forecasts to issuing timely alerts. The NOAA Hurricane Center Atlantic satellite system is a cornerstone of this process, providing a constant stream of critical data.

Data Collection and Analysis

So, how does the NHC actually do this? A big part of the NHC’s effectiveness comes from its sophisticated data collection and analysis methods. The center uses a variety of sources to gather information, including: weather buoys, aircraft reconnaissance, surface observations, and, most importantly, satellites . Satellites provide a bird’s-eye view of the entire ocean basin, allowing meteorologists to see developing storms long before they come into contact with land. Satellites equipped with advanced sensors measure various parameters, such as sea surface temperature, wind speed, cloud cover, and rainfall. This information is fed into complex computer models that simulate the behavior of hurricanes, taking into account atmospheric and oceanic conditions. Meteorologists then analyze the model output, along with other observations, to create their forecasts. The forecasting process is not just about crunching numbers. It also involves human expertise and judgment. Experienced meteorologists use their knowledge of hurricane behavior and patterns to interpret the data, refine the model output, and make informed decisions about the forecast. The NHC continuously monitors and improves its methods, incorporating new technologies and data to increase the accuracy and reliability of its forecasts. That is why NOAA Hurricane Center Atlantic satellite plays a vital role in providing the data necessary to improve the accuracy of hurricane prediction.

The Atlantic Satellite Network: Eyes in the Sky

Now, let’s zoom in on the real stars of the show: the Atlantic satellite network. This network comprises a fleet of satellites orbiting the Earth, providing a continuous stream of data about the atmosphere and oceans. These satellites come in two main types: geostationary and polar-orbiting.

Geostationary Satellites: The Constant Watchers

Geostationary satellites are positioned above the equator and orbit the Earth at the same speed as the planet rotates. This means they stay in a fixed position relative to the ground, providing a constant view of the same area. For hurricane monitoring, geostationary satellites like GOES (Geostationary Operational Environmental Satellite) are incredibly valuable. They provide high-resolution images of cloud formations, allowing meteorologists to track the movement and development of hurricanes in real-time. They can also measure cloud-top temperatures, which help assess a storm’s intensity. Geostationary satellites also provide data on wind speeds, humidity, and other atmospheric parameters. This data is critical for understanding the environment around the storm and for predicting its future behavior. These satellites give us the capability to see changes in a storm’s size, shape, and strength as it evolves over time. They are the eyes that never sleep, and for that reason, are an essential part of the NOAA Hurricane Center Atlantic satellite monitoring program.

Polar-Orbiting Satellites: Detailed Data Collection

Polar-orbiting satellites , on the other hand, orbit the Earth from pole to pole. As they circle the globe, they scan different regions of the Earth, providing detailed information about the atmosphere, oceans, and land surface. These satellites carry advanced instruments that can measure a wide range of parameters, including sea surface temperature, wind speed, and precipitation rates. This information is used to refine hurricane models and improve the accuracy of forecasts. Polar-orbiting satellites provide high-resolution imagery and data, allowing meteorologists to get a close-up view of a hurricane’s structure and intensity. They are crucial for analyzing the storm’s internal dynamics and for detecting subtle changes that might indicate intensification or weakening. Their data complements the continuous monitoring provided by geostationary satellites, giving meteorologists a comprehensive picture of the hurricane. The detailed data collected by the polar-orbiting satellites is a critical input for understanding and predicting hurricane behavior, and is a vital component of the NOAA Hurricane Center Atlantic satellite effort.

Satellite Data: Unveiling Hurricane Secrets

So, what kind of information do these satellites actually provide, and how is it used? Let’s take a closer look.

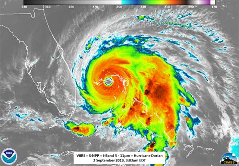
Cloud Formation and Structure

One of the most important things satellites show us is the cloud structure of a hurricane. Satellites can create images of cloud patterns, which helps meteorologists understand the storm’s organization and track its movement. The swirling bands of clouds, the eye wall, and the eye itself are all clearly visible in satellite imagery. Changes in the cloud structure can indicate changes in the storm’s intensity. For example, a tightening eye wall or the formation of new convective bands can signal intensification. Satellite images also reveal the location and extent of rainfall, which can help assess the potential for flooding. By monitoring the cloud formations, the NOAA Hurricane Center can gain valuable insights into the storm’s evolution.

Sea Surface Temperature (SST)

Sea surface temperature (SST) is a critical factor in hurricane formation and intensification. Hurricanes need warm ocean water to develop and maintain their strength. Satellites measure the SST, providing the NHC with information about the energy available to the storm. Warm SST can fuel a hurricane, while cooler SST can weaken it. The NHC uses SST data to assess the potential for intensification and to predict how the storm might change over time. Monitoring the SST is a vital component of understanding the environment in which the hurricane exists and is another key area where the NOAA Hurricane Center Atlantic satellite network contributes to predicting hurricane behavior.

Wind Speed and Direction

Satellites also provide crucial data on wind speed and direction, both at the surface and higher up in the atmosphere. This information helps meteorologists understand the storm’s internal dynamics and predict its track. High wind shear, where wind speeds and directions change rapidly with height, can disrupt a hurricane and cause it to weaken. On the other hand, a favorable wind environment can help a hurricane intensify. Satellites use various techniques, such as measuring the movement of cloud features and using microwave sensors to estimate wind speeds at the surface. Analyzing the wind patterns is essential to assess a hurricane’s potential to strengthen or weaken and is therefore an important part of the NOAA Hurricane Center Atlantic satellite data analysis.

Rainfall and Precipitation

Satellites are also equipped to measure rainfall and precipitation rates within a hurricane. This data is critical for understanding the storm’s intensity and predicting the potential for flooding. High rainfall rates can indicate a stronger storm, while a decrease in rainfall might indicate weakening. Satellites use microwave sensors to